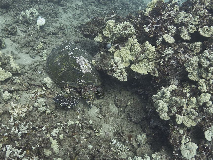
Unidentified (at present) hawksbill in ROcket Girl's spot in the burbs.
I assumed it was Melinda and ended up spooking it when I came in close to check on a hook in the neck.


The first pass above didn't phase her. But getting the camera close on a subsequent visit did spook her.


She backed out of the cave and still thinking she was Melinda, I met her on the other side.


At this point, I had my doubts as to identity and this turtle was not relaxed around me like Melinda always has been.




I had to surface and waited for her to come up as well but as she got closer to me, she stopped rising and
started swimming off. I took a last shot and then swam away not wanting to give her any more cause for concern.

I am sorry I didn't get a better top of head and right side of head shot for ID purposes.
I later encountered Barnacle Billie resting at the scratching post. I haven't seen her at this spot this year.



She has a good amount of CCA growing on her carapace.

I left her and went off in search of the frog fish. I returned later to see her break from her rest and come to the surface.







She headed back down and towards the reef for some foraging.







