Melinda:

















Shots Below taken with Olympus "point & shoot" Stylus 1030SW:





Below are two links to videos taken of the Hawksbill with the Olympus 1030 (you can hear whales in the audio):
A pair of Hawksbill turtles have a nose to nose encounter:


In years past, one was most likely to encounter a green sea turtle or two while snorkeling on the reef and if lucky, a Hawksbill turtle. Now that there are many more people in the water with the Westin development, there are very few green sea turtles to be seen but the chance of encountering a Hawksbill has increased. On many visits now, the only turtle I will see will be a Hawksbill.
A mother and daughter on their last day of vacation enjoyed the experience of being up close and in the company of one of the Hawksbill's:

After the shot, the turtle swam towards and under me and I felt I needed to arch my body to avoid contact. I have noticed that some of these Hawksbill turtles are quite comfortable being close to people and I have had them surface right next to me. Others want their space and will swim a good distance before surfacing for air if there are people around. Unfortunately many of the visitors don't realize when turtles are coming up for air and I have seen people give chase. I assume that those turtles who seem timid have had some bad experiences.
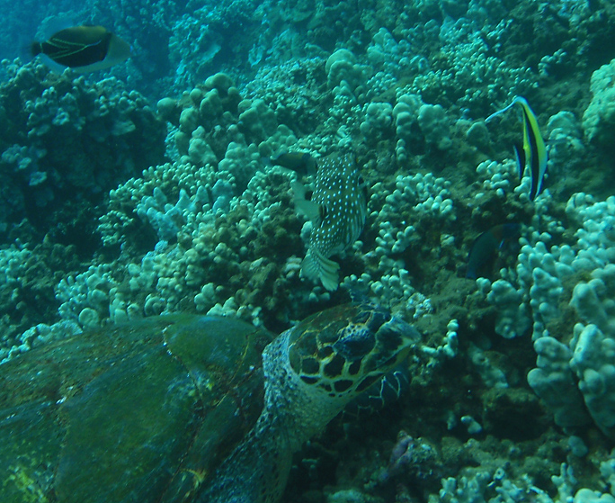
I came back the next day and this large Hawksbill was on the reef feeding. It is amazing to watch them break off old coral trying to get at the morsels tucked away within.
Maggie:



This large adult can extend it head quite a distance and its neck seems to give indication of this; wrinkled and accordian like.



Above, its head is deep within the coral. This turtle developed a large following of freeloaders hoping for an exposed or broken free morsal.


I returned the next day with hopes of getting some shots of the large Hawksbill with my Nikon D70 & 16mm fisheye lens. I couldn't find the big turtle but the smaller one was there feeding. I held the camera housing in my left hand and attempted to get some self portraits including the turtle:

The image above illustrates how quickly size diminishes in distance and the altered perspective as viewed from a fisheye lens. The snorklers at the surface are probably 15-20' away.
Melinda:


I like this last image. Notice how the reflection of a portion of one of the turtles flippers occupies near half of the reflection in my face mask. We were less than 2' apart and the turtle is much larger than the image would make you think.










***************************************************
Large Hawksbill tagged #1D67 seen at Airport Beach 4-1-08:

















***************************************************
Melinda:

Rocket Girl:



Melinda:


The arrows above point to some type of morsel that the Hawksbill seems to be quite willing to work for! She had brought this piece of coral up out of a hole she was working and at the surface I saw her eat a larger one of these. I swam down and got this shot before she consumed the two seen here. While her head was down in the hole, the rest of her was up there in all her glory:
Maggie:


As I followed her up to the surface, a green sea turtle came by and swam under us:

Melinda:

There is a story on the "hooked" Hawksbill turtle above, HERE.